Ansa A settembre torna ad aumentare la Cig (cassa integrazione guadagni) sul mese di agosto (+54,31%), aumento in parte prevedibile ma con un’accelerazione più marcata di 10 punti percentuali rispetto a quella che c’era stata tra settembre e agosto 2014. Lo afferma la Cgil. Secondo la Cgil le ore di Cig totali tornano nel livello […]
Author Archives: Finanza&Mercati
Il fondatore di Zara ‘sorpassa’ Bill Gates e diventa l’uomo più ricco del mondo
posted by Finanza&Mercati
Adnkronos Zara supera Microsoft. Per qualche minuto c’è stato un nuovo “uomo più ricco del mondo”: con un patrimonio di 71,83 miliardi di euro, il fondatore del marchio spagnolo di abbigliamento low cost Amancio Ortega ha superato Bill Gates nella lista degli uomini più ricchi del mondo di Forbes, guadagnandosi la prima posizione. Un primato, […]
FESTEGGIANO I DORMIGLIONI. SABATO NOTTE LANCETTE INDIETRO PER L’ORA SOLARE
posted by Finanza&Mercati
L’ultima domenica di ottobre segna il passaggio dall’ora legale a quella solare. Così questo weekend, tra la notte di sabato 24 e domenica 25 ottobre occorrerà spostare le lancette dell’orologio indietro di un’ora. Il cambio dell’ora è stato introdotto nel Regno Unito quasi 100 anni fa con il British Summer Time. Con l’avvicinarsi dell’estate […]
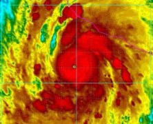
Patricia verso il Messico, stato d’emergenza per l’arrivo del ‘super uragano’. FOTO SATELLITE
posted by Finanza&Mercati
Adnkronos E’ stato di emergenza in Messico, dove si attende con ansia l’arrivo questa sera di Patricia, un uragano di categoria 5, la più alta della scala. Con venti che arrivano fino a una forza di 260 chilometri l’ora, l’uragano sta procedendo verso la costa sud occidentale del Messico a una velocità di 17 chilometri […]
Ferrari, le banche esercitano l’opzione di acquisto delle azioni
posted by Finanza&Mercati
Un bel pezzo del bravissimo Luca Fornovo per La Stampa Fiat Chrysler Automobiles Nv e la sua controllata Ferrari Nv hanno annunciato che le banche collocatrici dell’offerta pubblica iniziale di azioni Ferrari hanno integralmente esercitato l’opzione per acquistare da Fca altre 1.717.150 azioni ordinarie Ferrari (1%) al prezzo dell’offerta pubblica iniziale, cioè 52 dollari per […]
Debito Italia sale a 136% in secondo trimestre
posted by Finanza&Mercati
Ansa Il debito pubblico italiano sale al 136% nel secondo trimestre 2015, e arriva a 2,204 miliardi. E’ il quinto maggiore aumento (+0,6%) dopo Cipro, Austria e Finlandia tra i paesi Ue sul primo trimestre. Lo comunica Eurostat. Il debito pubblico più pesante resta quello greco (167,8%), seguito da Italia e Portogallo (128,7%). Il debito […]
Poste: prezzo ipo fissato a 6,75 euro. Padoan, per Tesoro incasso quasi 3,4 mld
posted by Finanza&Mercati
Ansa Il prezzo dell’ipo di Poste italiane è stato fissato a 6,75 euro per azione, a metà della forchetta tra 6 e 7,5 euro. Lo ha comunicato il Tesoro in conferenza stampa. Al pubblico indistinto e ai dipendenti di Poste Italiane verrà allocato il 30% dell’offerta globale e agli investitori istituzionali il 70%. I dipendenti […]
Borsa: Europa corre ancora con Draghi, spread scende giù
posted by Finanza&Mercati
Ansa Continua l’effetto-Bce sulle borse europee. I listini accelerano a metà seduta nella convinzione che Mario Draghi rafforzerà il quantitative easing entro fine anno. Francoforte balza del 2,1%, Parigi dell’1,8%, Madrid dell’1,4% e Londra dell’1,2%. “La speranza che il denaro a basso costo durerà a lungo, insieme a utili più forti sta aiutando le azioni” […]
Legge stabilità . Rischio tasse-ticket in 8 regioni, scure turnover P.A.
posted by Finanza&Mercati
Ansa Il Presidente del Consiglio Matteo Renzi in aereo in viaggio verso San Francisco – Ufficio Stampa Governo © ANSA E’ attesa per oggi o domattina al più tardi la trasmissione al Parlamento del testo definitivo della manovra. Gli enti locali lanciano l’allarme: rischio di aumenti per tasse e ticket in 8 regioni. E una […]